
I viewed Tuesday’s September session of the Oak Lawn Committee through different eyes. See if you agree (or not). There were two cases and a fence presented. The fence was a request by Audi Dallas to change their wooden fence to a metal one that more matched the architecture of their building – no biggie to me.
An Historic Dallas Home
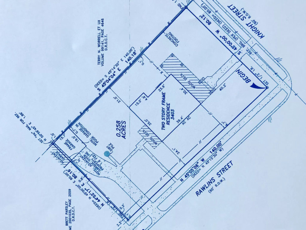
Any angle I see this case from doesn’t smell right. It’s a 1914 single-family home in back of the Genesis Thrift Store and the Lemmon Avenue-facing Starbucks and Super Cuts – diagonally across the same block as Uncle Julio’s.
The property is currently zoned for MF-2 housing. The long-time owners want to upzone it to General Retail (GR) or Office-2 (O-2) – depending on what document you read. This would set a precedent of allowing commercial zoning on an interior street on the backside of the Lemmon Avenue block.
Recall the hard “no” given by Oak Lawn Committee to HEB when they wanted to drop a Central Market on the block bordered by Lemmon, Reagan, Bowser and Throckmorton. That “no” saw Central Market regroup and gain approval (but still no construction) at Lemmon and McKinney. Then there was the case several years ago to straighten out erratic zoning on Herschel that was then sold to make way for an assisted care mid-rise project. More recently, a “fat block” enabled Streetlights to gain approval for a controversial high-rise at Lemmon and Oak Lawn Avenues.
Enabling commercial zoning on these “back blocks” of major roadways is dangerous and damaging to the neighborhood.

Why The Upzone?
The current home owners have owned the property for nearly 30 years and have painstakingly restored the home to excellent condition. It’s also a beautiful example of preservation. Unfortunately, given its location, it’s overbuilt for the area. We know this because the owners had been trying to sell the home since November 2018 – with 12 price changes (both up and down) beginning at $1.25 million.
Were the home a couple of blocks away in Perry Heights, it would have sold. But it’s not. DCAD values the home at $683,310 and Zillow says it’s $848,382 (Plenty of pics).
The way to increase its value is to upzone it. But is it the Oak Lawn Committee’s job to fix an owner’s mistakes made over-improving their property? Is it the city’s? No.

Back to The Confusion
As I said, the upzone request is either GR or O-2 depending. On June 22, well before Tuesday’s initial presentation to the Oak Lawn Committee, the owners filed a petition with the city to upzone the parcel to GR. On August 28, the petition was changed to “O-2 with volunteered deed restrictions.”
What happened between June 22 and Sept. 1? Sources allege that the applicant was working behind the scenes with the code compliance sub-committee (this has nothing to do with code compliance) of Oak Lawn Committee that includes officers and members for guidance. (The second slide of their presentation states, “Representative’s primary communication has been with the OLC.”)
A series of emails between the group, among other things, walk through the proposed O-2 zoning and what restrictions (below) would be needed – that list was presented by the applicant to the Oak Lawn Committee last night as new.
The Oak Lawn Committee rules state, “Presentations and discussions between developers and neighbors are encouraged but no negotiation shall take place between the officers, the members of the OLC, and the applicant or their representative prior to the meeting.”
I am troubled by this back-channel communication and coaching happening away from the general membership. I reached out to OLC president Hilda Rodriquez for comment and as of press time have received no response.

O-2 is Terrible
O-2 zoning is a very generous zoning category allowing heights up to 240 feet, higher lot coverage, and smaller setbacks. The types of uses are equally open from sewage treatment to post offices. The proposed deed restrictions handle much of this, but restaurants, shoe repair, florist, medical clinic, group residential facility, and “overnight general-purpose shelter” would all be allowed.
Why use this broad category just to cripple it but leave some problematic uses? The shops on Lemmon are zoned for GR and some of the single-story lots along Douglas are O-2 (it’s a major street).
My fear is that this block could be assembled into something large and out of place (like Streetlights). Deed restrictions are potent (more if they’re public versus private), but they are not invincible. A separate zoning case in the future could extinguish them (and in back of this home is an aging duplex on Rawlings that would likely want the same upzone).
The owners say they want to preserve the home but repurpose it. Nothing in the deed restrictions guarantees the preservation of the home. The owners had tried to sell the home for 19 months, who’s to say what the next owner would do? The owners said they’d had offers from developers but wanted the house preserved. The minute they sell it, I think it’s gone.
Their suggestions include a variety of restaurant and small office configurations, but regardless of the proposed use, there’s virtually no parking and their suggestions are predicated on counting public on-street parking – I’ve never seen an OLC case approved that can’t park itself.
I’m sure the owners love this home and had turned down offers for years to redevelop it into the townhouses that litter the area. They stayed too long at the party because it was a beloved home. Again, the city isn’t in the business of fixing real estate mistakes.
There is a lot of bad here that neighbors should be very unhappy with and yet they showed with letters of support.

2401 McKinney – Trulucks
In June, Trammel Crow first presented the redevelopment of today’s (unfortunate) Truluck’s redo. Crow’s is an attractive building with a lot to like about it. In addition to bulldozing Truluck’s (it’s back in the new building), several hardscrabble neighbors go too (ex-Gold’s Gym). From where I sit, it was always a good project.
The OLC sent Crow a list of items they wanted additional information on. Specifically, they wanted detail on additional community outreach/support along with traffic and shade studies. During Tuesday’s meeting, that information was presented. Net-net, there was general satisfaction with the additional outreach, although there was a pernicious inquiry whether tenants in apartment buildings are included in their outreach. The City of Dallas surveys (and counts) property owners, not tenants. It’s an unfair bar to try to set as a way to seemingly dilute support.
The shade study showed that the proposed building averages 15 percent less shade than they could construct by-right. Traffic was similarly answered well. Using national standards, the property adds 702 cars during peak hours that place an additional three cars per minute on Fairmount at rush.
Using the actual, much lower traffic generated by nearby buildings like McKinney and Olive the increase in cars would be 349 at rush hours or two per minute – because Uptown workers increasingly live nearby. The per street increases ranged from two percent for McKinney and Maple and seven percent for Fairmount – the Fairmount increase is the result of no entrances/exits from the parking garage onto McKinney.

The Second Hurdle
Crow also returned with 10-foot sidewalks and stone cladding on the Fairmount side because they were asked by OLC to focus on it – a request the Crow representative said was made outside normal committee meetings.
Again, returning to the OLC rules, these kinds of private requests, away from the general membership seem to be in violation.
Now these suggestions might ultimately be supported by the membership, but they have no opportunity to discuss them – i.e. did the sidewalk increase wind up decreasing landscaping?
For me, this was a different OLC meeting when juxtaposed against their rules on communication between applicant and the committee. It just so happened that they were discussing other rule changes – which is what piqued my rules re-reading.
As a side note, COVID has certainly quieted the OLC agenda – three cases constituting a fence, a lot, and some shade and traffic clarifications are not the stuff of normalcy.
