
Let’s begin big. The Oak Lawn Committee saw four projects last night. The one above is a nice residential high-rise at the corner of Boll St. and McKinney Ave. We also saw a proposal for a 13-story retirement home around the corner from Al Biernat’s, as well as the more mundane signage variance in Victory Park and the reopening a drive-through that’s been on Cedar Springs for decades but whose permit expired.
Mixed-Use With Parking Underground
So you’re thinking … where’s Boll Street? It’s a couple of blocks up from Whole Foods, where Jake’s Burgers is (soon to be “was”). There are many aspects of the building that I like and all of them are below the fourth floor (handy picture, eh?).
From the bottom, we’ll start with all underground parking. I’ll mic-drop that by adding that except for ground-floor retail/restaurant and two floors of office space on the second and third floors, this project is residential. I wonder if after seeing this and recalling the Rastegar project if it begins to sink in that developers can do residential projects with underground parking?
The talk track has been that office buildings can afford do underground because of the higher rents per square foot generated by office versus residential. These two projects appear to put “paid” on that myth. And you know what? If a piddly two floors of office space is all it takes to make the numbers crunch for underground parking, I say bring it on.

At ground level, I’m liking the generous sidewalks. The left side of the image above shows what’s on McKinney now. Essentially a six-foot sidewalk that also contains the odd streetlight (or obstacle if you text while walking). On the right, the sidewalk transforms with a five-foot planting bed at the street followed by a 10-foot sidewalk and another 2.5-feet before you even hit a restaurant’s 10-foot-wide outdoor patio. That’s 27.5-feet from curb to façade. A veritable bonanza for walkers like me. Even on secondary street such as Boll, you only lose six inches of that 27.5-feet width.
The first three floors of the building itself are a bright, modern and glassy space.

And then there’s the fourth through 17th floors. I can barely keep my eyes open from the boredom. An uninteresting, unbroken ribbon of balcony-window, balcony-window for each floor. Where’s the panache? For the rents they’re going to want/have to charge, the building needs to be more interesting on the eye. As it is, neighboring buildings should advertise a good night’s sleep for insomniacs with views of this.
If you look at the dotted red lines on the picture above, there’s another story to tell. The building is significantly less bulky than it could be (though no shorter). The red lines are the existing footprint. A knee-jerk reaction is to think this is great for the neighborhood with less thud – and I’m with you. But I’m forced to wonder about the floor plates. Are they wide enough for generous-enough units? The short answer is that if there is a bedroom that’s less than 12-feet wide, it’s too thin. So I like the thinness, but I question the floor plan cost (and it might be fine, I just don’t know).
I lied. I also like the top of the building, too. Because that’s where the amenity deck/pool are. Without a bulbous garage podium to plonk the pool on, it’s been hiked up to the roof along with the gym (imagine the views while you pedal and sweat). Works for me.
In the end, spiff up the residential exterior and watch the floor plan dimensions, and I’m good.

Retirement Home – SBM Forward, LLC
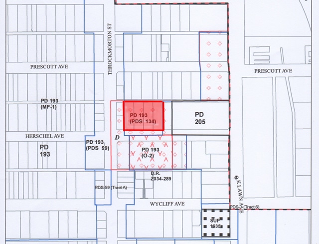
Moving downhill, we see a retirement home on Hershel Ave. and Throckmorton Street diagonal to Al Biernat’s. I’m not for or against this project – well, that’s not true, I’m for more information and more detail. While you’d think it was the presenter’s first time at this rodeo, it wasn’t. And yet, the package of information could have been supplied as a school project.

Compare the images from the Boll St. high-rise with this singular rendering of the proposed project supplied as part of the OLC package.
On the upside, all underground parking.
This project is asking for a bunch of stuff – fewer parking spaces (fewer retirees drive), higher floor-area-ratio, permission to run a shared dining room, setbacks, and more. I say “and more” because unlike everyone else, there was no summary of precisely what they were asking for. When queried about this, they promised to send a list.
A lot of what was said sounded pretty good, but with a six-page presentation for a 13-story building, there wasn’t enough detail to sink into to make qualify for informed consent.

Victory Park Signage Variance
The same landowner/developer representative presented the case for changing the signage requirements for the empty parking lots just north of American Airlines Center along I-35E. Essentially, they want to copy/paste and requirements from the south of American Airlines Center to the north.
The patter went that back in the day, it was planned/assumed that south of the stadium would be more commercial (needing bigger/better signs) whereas north was more residential. And that’s sorta played out, although certainly there’s a lot of residential to the south too.
So fine. But what was missing was what Hillwood plans to do with the parking lots. Surely they’re not requesting better parking lot signs? While I suspect what they’re planning is within their rights to build without a zoning case, it still would have been easier to visualize just what they’re asking for instead of theoretical signs.
Mirroring the retirement home presentation, there was a similar lack of detail that expected a decision in a vacuum.

On an ironic note, while asking for a signage variance, the presenters didn’t use the projector, instead relying on paper mounted on cardboard. This included a spreadsheet … and me without my telescope.

Veritex Bank – 2408 Cedar Springs Road
In an “all things great and small,” this was definitely small. Veritex Bank seems to be the third bank to occupy this building on a triangular lot at Cedar Springs Road, Fairmount Ave., and Howell St. As you can see above, it has a drive-through. A drive-through in this area requires a Special Use Permit (SUP) that are generally granted for a limited amount of time and can be renewed.
Someone let the SUP lapse. Veritex wants to use the drive-through again. It was an eye-roll to the sometimes innocuousness of zoning. I’ve taken more time typing this than the case took to present.
Rounding up the night, we had one pretty good (could be better) high-rise that was well presented, two tosses over the fence, and a “can I please use my drive-through again?” I keep hearing about “the end of the cycle” but I’m sure not seeing it in Uptown.

Remember: High-rises, HOAs and renovation are my beat. But I also appreciate modern and historical architecture balanced against the YIMBY movement. In 2016, 2017 and 2018, the National Association of Real Estate Editors recognized my writing with three Bronze (2016, 2017, 2018) and two Silver (2016, 2017) awards. Have a story to tell or a marriage proposal to make? Shoot me an email [email protected]. Be sure to look for me on Facebook and Twitter. You won’t find me, but you’re welcome to look.
